fbpx

1304 19 Street, Coaldale, Alberta T1M 0G6

MLS® # A2191967

$428,270

Description

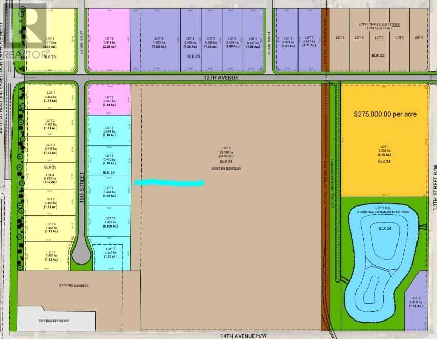
Position your business for success with this 1.13 (+/-) acre Highway Commercial-zoned lot, located within Coaldale’s expanding industrial corridor. Situated in the 845 Development Industrial Subdivision, this prime commercial opportunity offers flexible lot sizes ranging from 1 to 8 acres, providing scalable solutions for a variety of commercial and industrial operations.The development features direct access from Highway 845, a highly traveled route in the area that connects to Alberta Highway 3 which is a major transportation passageway for logistics, material transport, and industrial supply chains. This strategic location enhances connectivity and accessibility for businesses requiring efficient transportation solutions.Over the past few years, Coaldale has evolved into a business hub with an impressive growth rate, supported by numerous commercial ventures. One of the most significant developments is the NewCold facility project, which is attracting more industry to the community. Coaldale also benefits from the new Malloy Landing residential subdivision, the state-of-the-art Shift Community Recreation Centre, and a growing number of commercial and industrial enterprises.With cost-effective commercial & industrial land, a competitive commercial property tax rate, and attractive incentives , Coaldale presents a compelling opportunity for business relocation, expansion, and investment. Secure your position in this high-growth market today. (id:53676)

PROPERTY FEATURES

  • MLS® Number A2191967
  • Price $428,270
  • Plan 2410242

Buildings

Age Age Is Unknown

Land

Acreage Yes Fence Type Not Fenced
Size Irregular 1.13 Size Total 1.13 Ac|1 - 1.99 Acres
Size Total Text 1.13 Ac|1 - 1.99 Acres Zoning Description C-2 Highway Commercial

BROKERAGE

  • Office: Onyx Realty Ltd.

Start Your Mortgage Application

Schedule a Tour

Do you have questions?

Call or text today, we are here to help!

587-719-1004

Scroll to Top