fbpx

400, 500, 600 Shantz Drive, Didsbury, Alberta T0M 0W0

MLS® # A2123791

$1,788,020

Description

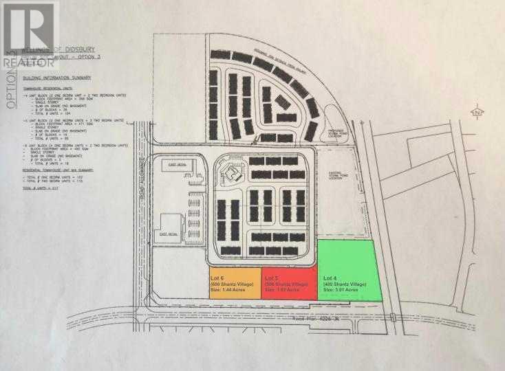
Three commercial lots for sale in Shantz Village Phase 2 totalling 5.98 Acres. Asking price is $299,000 per Acre. Lot 4 (400 Shantz Village 2024 tax: $8,340.00 | Size: 3.010 AC | LINC: 0035569277). Lot 5 (500 Shantz Village 2024 tax: $4,239.44 | Size: 1.530 AC | LINC: 0035569285) Lot 6 (600 Shantz Village 2024 tax: $3,990.09 | Size: 1.440 AC | LINC: 0035569293). Land Use: C-1 General Commercial. Anchored By Buy-Low Foods, Dollarama & Pet Valu. Retail stores, walking paths, mixed use commercial. Proposed LIquor store and Cannabis outlet. Didsbury is located just off of QEII Highway, approx 70 km from the Calgary International Airport, or 47 minutes drive. There is a 9-hole golf course, aquatic centre, two ice rinks, softball/baseball diamonds, parks and playgrounds. There is also a hospital, an RCMP detachment as well as the Olds-Didsbury Airport, primarily for small aircraft, general aviation, and a helipad for STARS air ambulance to land. (id:53676)

PROPERTY FEATURES

  • MLS® Number A2123791
  • Price $1,788,020
  • Amenities Near By Airport
  • Features See Remarks, Level
  • Plan 1310247
  • View Type View

Buildings

Age Age Is Unknown Utility Water Municipal Water

Land

Acreage Yes Fence Type Not Fenced
Land Amenities Airport Size Irregular 5.98
Size Total 5.98 Ac|5 - 9.99 Acres Size Total Text 5.98 Ac|5 - 9.99 Acres
Zoning Description C-1

BROKERAGE

  • Office: Century 21 Masters

Start Your Mortgage Application

Schedule a Tour

Do you have questions?

Call or text today, we are here to help!

587-719-1004

Scroll to Top